24 Branch Creek Road, Detroit Lakes, MN 56501

$79,000
  • 24 Branch Creek Road, Detroit Lakes, MN 56501 Main Photo

13 Total Photos [Click to View All]

Active
LOT SIZE 0.920 acres MLS#6754292
STATUSActive PROPERTY TYPELand - Residential SCHOOLDetroit Lakes

Property Description

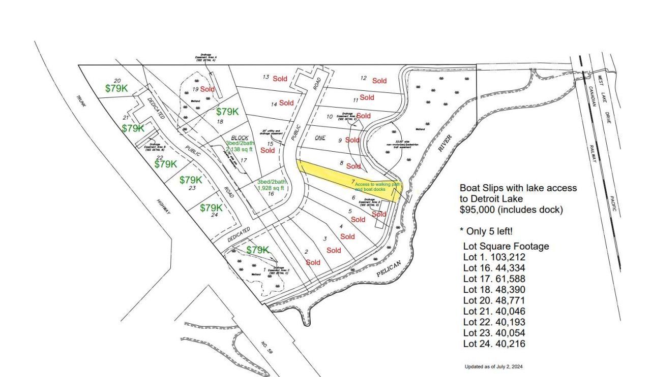
BRANCH CREEK-OFFERING DIRECT ACCESS TO DETROIT LAKE: Ideal location to build what fits your lifestyle. These spacious lots are framed by the Pelican River (offering direct access to Detroit Lake), Dunton Locks Park (now home to one of world famous Thomas Dambo's giant trolls) and the ever popular paved walking/bike path that meanders along the river to connect Detroit Lake and Sallie. With quick access to downtown Detroit Lakes, enough room to build a matching out building and PAVED roads, nothing can compare to this development. Bring your plans, builder and maybe even a boat! Currently we have boat slips available to purchase for an additional $95,000. Excellent opportunity. Additional lots available

24 Branch Creek Road | MLS# 6754292

This land located at 24 Branch Creek Road, Detroit Lakes, MN 56501 is currently listed for sale with an asking price of $79,000. The property has approximately 0.92 Acres. Branch Creek Road is located within the Detroit Lakes school district. Search Detroit Lakes real estate on www.legacyr.com today.

Property Features

Property Type: Land - Residential
Lot Size: 0.92 Acres
Taxes: $16

Feature Descriptions

Association Fee Includes: Dock
Days on Site: 278
Development Status: Plat Designed
HOA Fee: 200/ Annually
Improvements: Paved Streets
Land Inclusions: Platted
Lot: Additional Land Available
Lot Dimensions: Irr
Special View Info: Lake View
Topography: Gently Rolling
Utilities: Electricity Available Connected
Water: Lake Front, River Front

Local Schools

School District: Detroit Lakes

Listed By / Shown By

Listed By

Agency Name: REMAX Lakes Region
Agency Phone: 218-844-5253

Shown By

Agency Title: RE/MAX Legacy Realty
Agency Phone: 701-492-5050

IDX logo

Estimate Your Payment

Estimated Payment

$ 200.19 per month $175.82 Principal & Interest $1.33 Property Tax $23.04 Homeowner's Insurance

Change Payment Information

%
years/fixed
yearly
yearly (est.)
(Payments are an estimate and may vary by lender)

Login to My Homefinder

Pixel